Kundenportal: Berichte

Geändert am Mi, 5 Jun, 2024 um 2:50 NACHMITTAGS

8.      Berichte

Die spezifischen Verbrauchsdaten für Ihren Standort finden Sie im Bereich Berichte oder unter

Auswertungen. Die entsprechenden Daten werden in Tabellenform dargestellt.

Durch Besuchsberichte erhalten Sie einen Überblick über spezifische Besuche und die dazugehörigen

Beobachtungen, die verwendeten Materialien und die mit diesem Besuch einhergehenden

Empfehlungen.

Abbildung 9 Berichte/Auswertungen

8.1       Besuche

Unter Besuche können Sie die Besuche bzw. Arbeitsaufträge für ein bestimmtes Jahr sehen und filtern.

Hinweis: Wenn in einem Jahr keine Besuche stattgefunden haben oder der Standort im aktuellen Jahr noch nicht besucht wurde, werden Ihnen hier auch keine Daten angezeigt.

Abbildung 10 Liste der Besuchsberichte

Wenn Sie rechts auf die Lupe klicken, öffnet sich der jeweilige Besuchsbericht in einem neuem Tab.

Abbildung 11 Besuchsbericht

Der Besuchsbericht beinhaltet Kundendaten, Beobachtungen an Kontrollpunkten und Fallensystemen, den Materialverbrauch und Empfehlungen mit ggf. Fotos und zusätzlichen Dokumenten.

Wenn Sie unter Beobachtungen auf ein Etikett, Präparat oder einen Kontrollpunkttyp klicken, erhalten Sie detaillierte Informationen dazu.

Unter Materialverbrauch sehen Sie, welche Materialien der Techniker verwendet hat. Die Codes NA, NB, XX und VV werden angezeigt, wenn es für den Techniker nicht möglich war, den Kontrollpunkt zu erreichen.

Wenn Sie den Besuchsbericht exportieren wollen, können Sie oben rechts unter Exportieren auf eines der drei Symbole klicken. Der Bericht wird automatisch in das von Ihnen ausgewählte Format exportiert und heruntergeladen.

Wenn Sie den Besuchsbericht als PDF herunterladen, können Sie ihn im Anschluss auch ausdrucken.

Hinweis: Nach dem Herunterladen eines Word-Dokuments speichern Sie dieses am besten zuerst auf

Ihrem Computer, bevor Sie über die Schaltfläche die Sicherheitsmeldung löschen. Andernfalls

erhalten Sie möglicherweise eine Fehlermeldung, und das Dokument kann nicht gelesen werden.

8.2       Beobachtungen/Besuche

Unter Beobachtungen/Besuche finden Sie eine Zusammenfassung von Beobachtungen bei Besuchen.

Abbildung 12 Zusammenfassung Beobachtungen/Besuche

Auch hier können Sie wieder rechts auf die Lupe klicken, um sich einen bestimmten Besuchsbericht detaillierter anzeigen zu lassen.

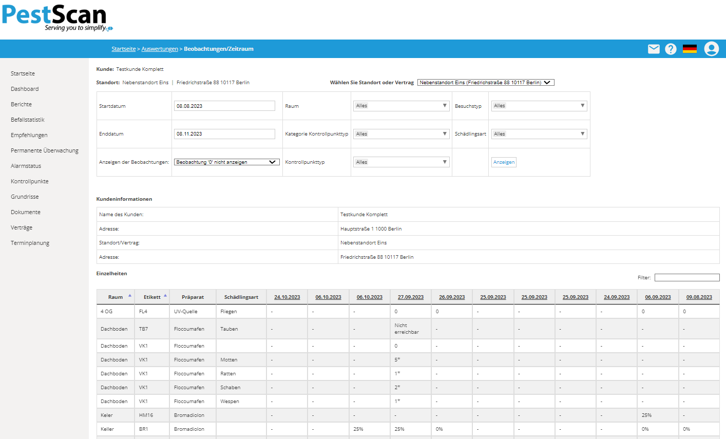
8.3 Beobachtungen/Zeitraum

Einen zusammenfassenden Bericht finden Sie in Beobachtungen/Zeitraum. Hier lassen sich die

Daten verschiedener Besuche vergleichen.

Abbildung 13 Beobachtungen/Zeitraum

Für diesen Bericht können Sie verschiedene Kriterien auswählen.

Hinweis: Wenn Ihre Kriterien zu breit gefasst sind (z.B., wenn sie mehrere Jahre umfassen), lehnt das System Ihre Datenanfrage eventuell ab. Das System kann nicht zu viele Daten gleichzeitig laden. In diesem Fall sollten Sie die Kriterien eingrenzen. Sie können die Suchergebnisse nach Excel exportieren und dort die Daten wieder zusammenführen.

Gut zu wissen: Startdatum und Enddatum sind auf das jeweils letzte Quartal eingestellt. Durch

Anklicken des Datumsfeldes öffnet sich der Kalender. Wenn Sie ein Startdatum benötigen, das

mehrere Jahre in der Vergangenheit liegt, ist es vielleicht einfacher, das Datum einfach einzugeben.

Für Raum, Kategorie Kontrollpunkt, Kontrollpunkttyp, Besuchstyp und Schädlingsart

können Sie Alles auswählen oder deutlich individueller filtern.

Weitere gefangene Schädlingsarten sind mit einem Sternchen gekennzeichnet: *.

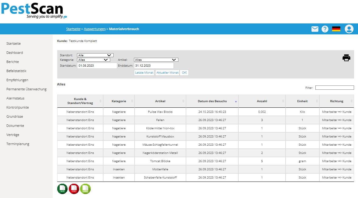
8.4       Materialverbrauch

Unter Materialverbrauch können Sie sehen, welche Materialien wie z.B. bestimmte Artikel oder Köder, der Schädlingsbekämpfer eingesetzt oder ausgetauscht hat.

Abbildung 14 Materialverbrauch

War dieser Artikel hilfreich?

Das ist großartig!

Vielen Dank für das Feedback

Leider konnten wir nicht helfen

Vielen Dank für das Feedback

Wie können wir diesen Artikel verbessern?

Wählen Sie wenigstens einen der Gründe aus
CAPTCHA-Verifikation ist erforderlich.

Feedback gesendet

Wir wissen Ihre Bemühungen zu schätzen und werden versuchen, den Artikel zu korrigieren