La nouvelle module de planification

Modifié le  Ven, 23 Janv. à 1:08 H

La nouvelle module de planification 

 

Il y a une version mise à jour du module de planification disponible. Avec le nouveau module de planification, il est plus facile de planifier différentes prestations/contrats simultanément. De plus, il est désormais plus simple de répéter les visites aux jours souhaités. Le nouveau module de planification offre également une meilleure vue d'ensemble lors de la planification, et il est possible de planifier différentes prestations provenant de différentes localités en même temps. 

 

Comme vous le savez probablement, PestScan suit la structure suivante en ce qui concerne les contrats : vous pouvez créer un client, puis ajouter plusieurs localités sous ce client, et enfin, créer des visites pour chaque localité. Par conséquent, la planification des visites se fait au niveau de la localité. 

 

Lorsque vous ouvrez une localité, vous verrez différents onglets. Pour utiliser le nouveau module de planification, cliquez sur l'onglet "Contrat" (et non sur "Planification", car c'est là que vous utilisez l'ancien module de planification). Sous l'onglet "Contrat", vous verrez plusieurs sous-onglets. 

 

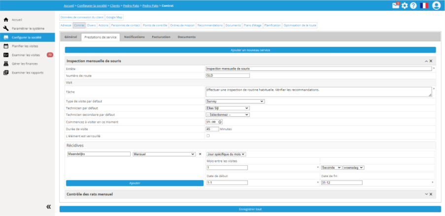
Sous "Prestations de service", vous pouvez créer des prestations. Des exemples de prestations incluent le contrôle mensuel des points de contrôle et l'inspection semestrielle des lampes anti-mouches. 

 

 

A screenshot of a computer 
Description automatically generated 

(En zoomant, vous pouvez examiner les détails de l'image) 

 

Pour créer un nouveau service, cliquez sur "Ajouter un nouveau service". Ensuite, vous pouvez donner un nom au service dans le champ "En-tête". Ensuite, vous pouvez saisir un code de route. Un code de route est utilisé pour regrouper les visites de différents clients qui se trouvent à proximité les uns des autres lors de la planification. Nous en parlerons plus tard. Vous pouvez également saisir le reste des informations, comme vous le feriez pour un mission d’ordre. 

Sous l'onglet "Répétitions", vous pouvez indiquer à quelle fréquence le service doit être répété, autrement dit, combien de fois un bon de travail de ce type doit être répété. Vous pouvez donner un nom à la répétition, puis sélectionner la fréquence de la répétition (hebdomadaire, mensuelle, etc.). 

 

Si vous sélectionnez "Quotidiennement", vous pouvez ensuite indiquer le nombre de jours entre deux visites successives.Si vous sélectionnez "Hebdomadairement", vous pouvez indiquer le nombre de semaines entre deux visites successives et choisir quel jour de la semaine la planification doit être effectuée.Si vous sélectionnez "Mensuellement", vous pouvez choisir de planifier les visites un certain jour du mois (par exemple, le 14), ou un jour spécifique du mois (premier lundi du mois).De plus, si vous sélectionnez "Dates", vous pouvez également choisir de planifier les visites à des dates spécifiques. Il est également possible de créer plusieurs répétitions pour un service. Enfin, vous pouvez sélectionner "Annuellement" de la même manière et créer une répétition annuelle.Vous pouvez maintenant créer un deuxième service ou appuyer sur le bouton "Tout sauvegarder" en bas pour enregistrer toutes les données. 

 

Pour planifier les visites, rendez-vous sur l'onglet "Planification les visites", situé sur la gauche de votre écran. Ensuite, cliquez sur l'icône "Créer une planification". Ici, vous pouvez créer un ensemble de planification en appuyant sur le bouton "Nouveau" en haut à gauche. 

 

A screenshot of a computer 
Description automatically generated 

 

Au bas à gauche, sous l'onglet "Filtre", vous pouvez effectuer des recherches en fonction d'un client, d'une localité ou d'un code de route, et récupérer les services que vous avez créés. En attribuant la même code de route aux services des localités proches, vous pouvez ainsi récupérer les services de ces localités en une seule fois. Pour ajouter des services à l'ensemble de planification, cliquez sur les services, puis sur le bouton vert "Ajouter". Ensuite, cliquez sur "Enregistrer & Suivant". 

 

 

 

 

 

 

 

 

 

 

 

 

 

 

Vous pouvez maintenant voir précisément le site et les services associés à ce site. Les bulles représentent les dates proposées pour les missions d'ordres. Si une date ne convient pas, vous pouvez déplacer la bulle vers une date alternative. 

 

De plus, vous pouvez indiquer la période pendant laquelle la planification doit être effectuée et si les missions d'ordres doivent être marquées comme "Planifiées" (visibles pour le client et le technicien) ou "À planifier" (doivent encore être définitivement planifiées). 

A screenshot of a computer 
Description automatically generated 

 

Une fois que tout est correctement configuré, vous pouvez cliquer sur "Générer". Les missions d'ordres seront maintenant disponibles sous l'onglet "Missions d'ordres" pour chaque site. 

 

De plus, vous pouvez accéder à des paramètres spécifiques liés au nouveau module de planification sous l'onglet "Agenda" dans les "Paramètres". Vous pouvez définir vos jours de week-end et décider où déplacer les visites prévues pendant le week-end. Vous avez également la possibilité de définir des jours fériés et de décaler les visites prévues vers un autre jour.A screenshot of a computer 
Description automatically generated 

 
Si vous avez encore des questions concernant la planification ou si vous rencontrez des problèmes, n'hésitez pas à nous envoyer votre question par e-mail à notre adresse de support : support@pestscan.freshdesk.com 

 

 

Cet article a-t-il été utile ?

C'est super !

Merci pour votre commentaire

Désolé ! Nous n'avons pas pu vous être utile

Merci pour votre commentaire

Dites-nous comment nous pouvons améliorer cet article !

Sélectionner au moins l'une des raisons
La vérification CAPTCHA est requise.

Commentaires envoyés

Nous apprécions vos efforts et nous allons corriger l'article